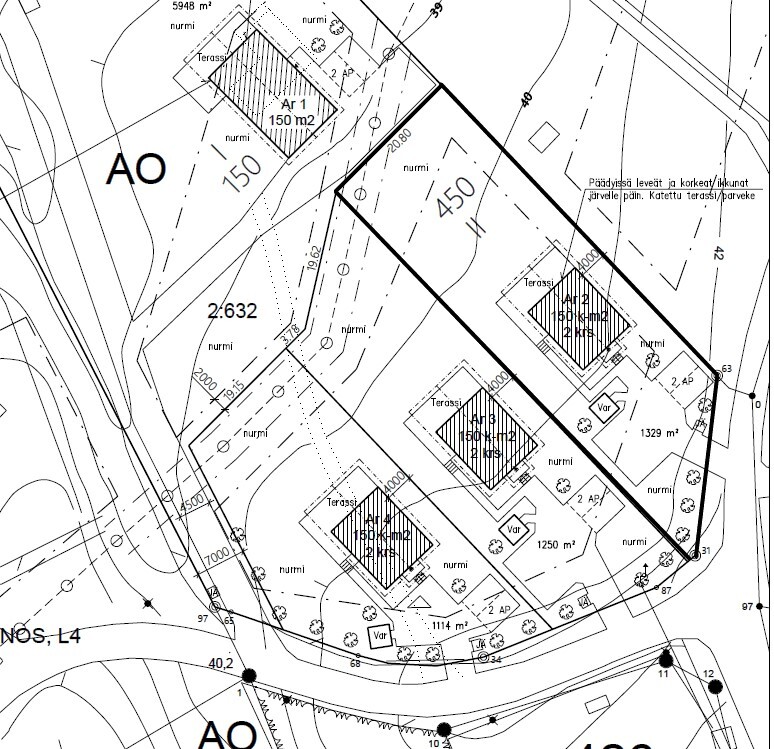
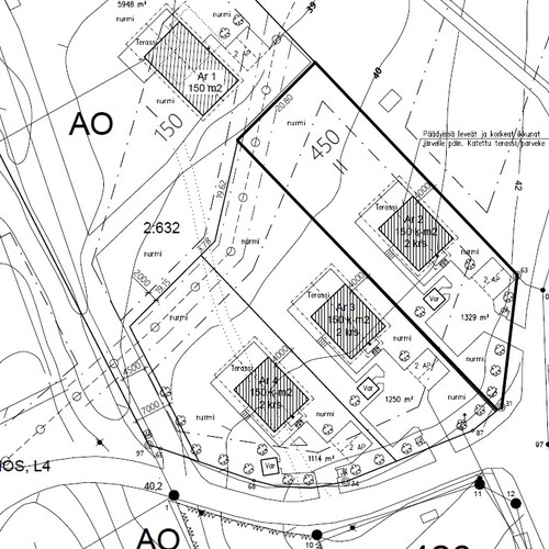
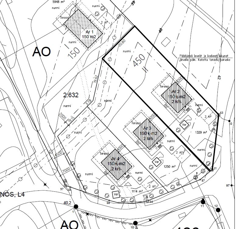
Omakotitalon 1326 m² rakennuspaikka Hiidenveden läheisyydessä järvimaisemissa.
– saa rakentaa kaksikerroksisen omakotitalon 150 kem2
– maaperätutkimus tehty, suositellaan paaluttamista kaksi kerroksiselle rakennukselle
– kunnallistekniikka rajalla
– Hiidenrannassa, Ali-haakkointien ja Opistontien kulmassa
– päiväkoti ja kauppa n. 500 metriä
– Helsingin keskustaan n. 50 km
Lisätiedot ja myynti:
Hanna Johansson
040 5714764
hanna.johansson@asuntokauppalkv.fi 
Kohdetta myy

Hanna JohanssonYrittäjä, Ylempi kiinteistönvälittäjä YKV, LKV, LVVhanna.johansson@asuntokauppalkv.fi+358 40 571 4764
Asuntokauppa Hanna&Hanna LKV Oy, NummelaY-tunnus: 2635442-1Keskikuja 4
03100 Nummelainfo@asuntokauppalkv.fi+358 40 571 4764
03100 Nummelainfo@asuntokauppalkv.fi+358 40 571 4764
Esittely
Kohteen seuraavaa esittelyajankohtaa ei ole tiedossa
Perustiedot
53825560
53825560
Vihti, Hiidenranta
Ali-Haakkointie 1 b
03100 Vihti
Ali-Haakkointie 1 b
03100 Vihti
Omakotitalotontti
Omakotitalon rakennuspaikka
Hinta ja kustannukset
69 000 €
69 000 €
Lisätiedot
Ei luokiteltu
Kunnan vesijohto
Kunnallistekniikka rajalla
Kunnallistekniikka rajalla
Kunnan
Tontin lisätiedot
927-401-2-632
Sotamiehenpelto
1 326 m²
Tasamaa
Ei
Oma
Panttikirja vapautuu ostajalle kauppahinnan maksua vastaan
Käyttämätön rakennusoikeus: 150 m²
Asemakaava
AO (ohjeellinen tonttijako)
Lisätietoja Vihdin kunta, kaavoitus.
https://kartta.vihti.fi/IMS/?layers=Ajantasa-asemakaava&cp=6692424,24515887&z=0.25&title=Ali-Haakkointie%201
AO (ohjeellinen tonttijako)
Lisätietoja Vihdin kunta, kaavoitus.
https://kartta.vihti.fi/IMS/?layers=Ajantasa-asemakaava&cp=6692424,24515887&z=0.25&title=Ali-Haakkointie%201
0,25
Kyllä
Muut lisätiedot
K-kauppa n. 500 m. Nummelan keskustan palvelut n. 2,50 km.
Yläaste ja lukio n. 2 km. Nummelan ala-aste n. 2,50 km.
Hiidenrannan päiväkoti n. 500 m.
Yläaste ja lukio n. 2 km. Nummelan ala-aste n. 2,50 km.
Hiidenrannan päiväkoti n. 500 m.








